Są miejsca, które same sprzedają inwestycję — i to jest jedno z nich. Działka położona bezpośrednio przy linii brzegowej Zalewu Wiślanego, w samym centrum Kątów Rybackich, oferuje nie tylko spektakularny widok na wodę, ale przede wszystkim realny potencjał biznesowy. To gotowy projekt pod inwestycję - z pozwoleniem na budowę oraz koncepcją nowoczesnego budynku mieszkalno-usługowego.
Najważniejsze atuty
- Pierwsza linia brzegowa - bezpośredni widok i dostęp do Zalewu Wiślanego
- Centrum miejscowości - idealne miejsce pod działalność turystyczną i gastronomiczną
- Pozwolenie na budowę (PnB) - możliwość realizacji projektu widocznego na wizualizacjach
- MPZP - jasne i bezpieczne warunki zabudowy
- Duży potencjał inwestycyjny - wynajem, apartamenty, restauracja, usługi
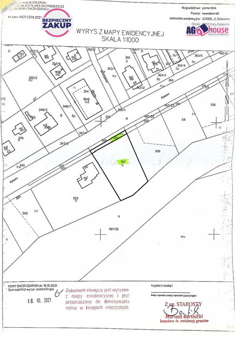
Działka
- Powierzchnia: 1701 m²
- działka nr 507: 1595 m²
- działka nr 512: 106 m²
- obręb 0002
- Kształt: prostokątna (ok. 35 m x 48 m)
- Teren: płaski, łatwy do zagospodarowania
- Obwód: ok. 165 m
Media
- Woda miejska
- Prąd (Energa)
- Kanalizacja - w drodze
Lokalizacja
- Kąty Rybackie - jedna z najdynamiczniej rozwijających się miejscowości Mierzei Wiślanej
- Bezpośrednio przy głównej drodze wojewódzkiej prowadzącej do Krynicy Morskiej
- W sąsiedztwie pełna infrastruktura: sklepy, gastronomia, baza noclegowa
- Idealne miejsce pod inwestycję turystyczną, rekreacyjną lub usługową
To nie jest zwykła działka — to gotowy fundament pod dochodowy biznes w jednej z najbardziej atrakcyjnych lokalizacji nad wodą w Polsce.
Zadzwoń i poznaj szczegóły oferty.
-----------------
TYLKO Z NAMI KAŻDA TRANSAKCJA JEST BEZPIECZNA Z GWARANCJĄ NAJNIŻSZEJ CENY I SZYBKIEJ, KORZYSTNEJ SPRZEDAŻY.
- gwarancja najlepszej ceny nieruchomości
- najlepsze stawki u Notariusza
- żadnych ukrytych kosztów - bezpieczny zakup z polisą OC Pośrednika w PZU S.A.
Niniejsze ogłoszenie i zawarte w nim informacje, treści oraz podane w powyższej treści ceny powyższa oferta ma charakter informacyjny i nie stanowią oferty handlowej w rozumieniu art. 66 kodeksu cywilnego. Zawarte w ogłoszeniu informacje na temat nieruchomości dotyczące ofert sprzedaży lub najmu nieruchomości mogą uleć modyfikacji lub zmianom w zależności od informacji przekazywanych od osób posiadających prawo do nieruchomości. Biuro AGhouse Nieruchomości dba, aby oferty były aktualizowane na bieżąco. Nasi doradcy dokładają wszelkich starań, aby oferta nieruchomości zamieszczona przez nasze biuro odpowiadała stanowi faktycznemu nieruchomości.